Terreno residencial para comprar en Nagol-Sant Julià de Lòria
Comparte esta propiedad
Descripción
Parcela para comprar en una tranquila y exclusiva zona residencial en Nagol, en la Parroquia de Sant Julià de Lòria, con todos los servicios cerca y bien comunicada.
La parcela se encuentra a 2 kms. del centro de Sant Julià de Lòria, con vistas sobre el Valle de Sant Julià. La urbanización dispone de red general de agua, alcantarillado, electricidad y teléfono.
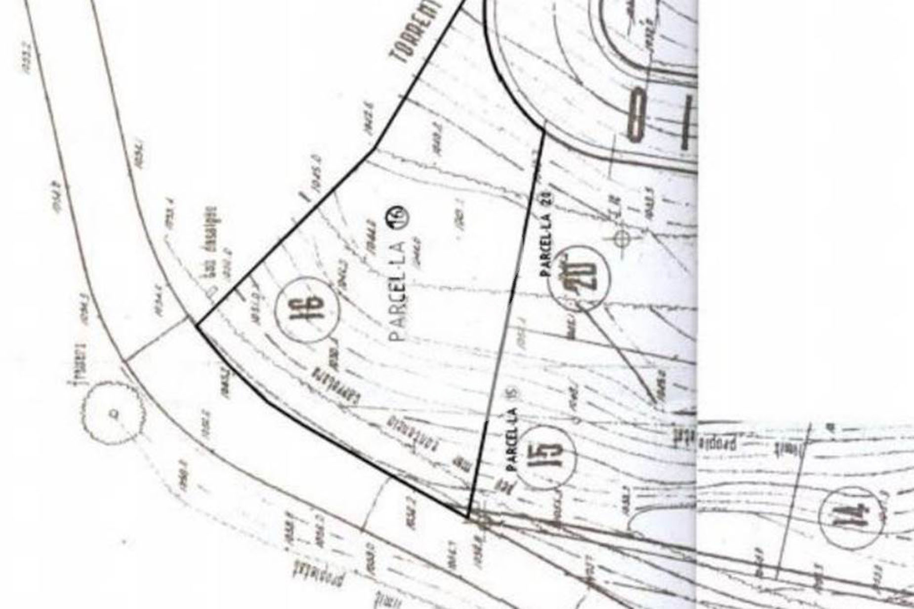
El terreno tiene una superficie de unos 547,50 m2 y es perfecto para construir una vivienda unifamiliar, con planta baja, dos plantas de piso y sótano.
Está rodeado de naturaleza, cuenta con unas vistas sensacionales a todo el valle y recibe sol durante todo el día.
La parroquia de Sant Julià de Lòria es, sin duda, la parroquia más «española» de Andorra, ya que es el punto de salida obligatorio de la frontera sur para acceder por carretera al reino vecino, en particular, para llegar a la ciudad de la Seu d’Urgell. Sant Julià de Lòria cuenta con 9.706 habitantes repartidos sobre una superficie de 61 km² en diez poblaciones: Sant Julià de Lòria, Aixovall, Bixessarri, Fontaneda, Auvinyà, Aixirivall, Juberri, Nagol, Certers, Llumeneres. Desde 1997 se encuentra también la sede de la Universidad del país (Universidad de Andorra).
Información
Ref. :
- Telefono : +376 872 222
- WhatsApp : +376 607 138


























